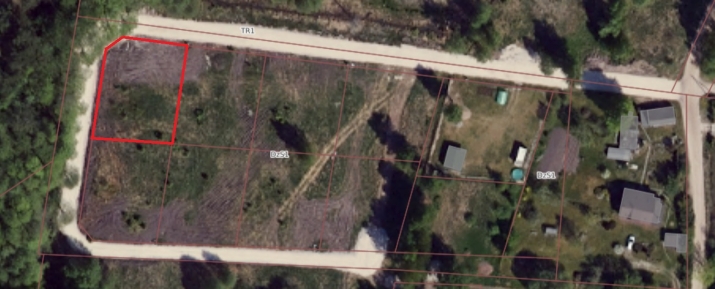
Zemes gabals Trīsciemā - savrupmāju apbūves teritorija (DzS1). Atļautie izmantošanas veidi: Daudzdzīvokļu māju, rindu un savrupmāju apbūve Apbūves noteikumi: - Maksimālais apbūves blīvums 30%; - Maksimālais apbūves augstums līdz 3 stāviem. Ērta piekļuve visiem zemes gabaliem nodrošināts kopīgs, izbūvēts piebraucamais ceļš. Elektrība pievadīta katram zemes gabalam. Ūdens un kanalizācija vietējā. Rīgas centrs sasniedzams aptuveni 20 minūšu laikā, savukārt ikdienā nepieciešamās iestādes un iepirkšanās vietas atrodas vien 7 minūšu brauciena attālumā Vecmīlgrāvja un Jaunciema apkaimē. Interesē? Zvani vai raksti, lai vienotos par apskati!
Tālrunis:24334577E-mail:Adrese internetāSkatīšanas reizes:4 Tiek publicēts:17.10.2025. — 22.05.2026. Sludinājums tika pieņemts Internetā
Bez prioritātes Nav izcelts |









